ФОТОГРАФИЯ СЕМИНАР ДЛЯ УЧИТЕЛЕЙ Рига, 26-30 марта 2012









































![ссылки Икинс, Джон Грэм, Маргарет. Содержание - на основе поиска изображений [онлайн]: доклад КНСО ссылки Икинс, Джон Грэм, Маргарет. Содержание - на основе поиска изображений [онлайн]: доклад КНСО](https://present5.com/presentacii-2/20171211\30864-photo_youth_maira_dudareva_2.ppt\30864-photo_youth_maira_dudareva_2_42.jpg)

30864-photo_youth_maira_dudareva_2.ppt
- Количество слайдов: 43
ФОТОГРАФИЯ СЕМИНАР ДЛЯ УЧИТЕЛЕЙ Рига, 26-30 марта 2012 года Исторические фотографии, glassplates, autochromes и как сохранить цифровой архив. Майра Дударева
На протяжении всей истории фотографии девяти основных фотографических процессов сохранились мненияотраженные в камеру-обскуру: гелиограф, дагерротип, calotype, влажный - коллодий процесс, цвет материалов, Желатин метила сухой плиты, голографии, мгновенной фотографии, цифровой фотографии.
Жозеф Нисефор Ньепс, (1765-1833)
После попытки нескольких веществ безуспешно он обнаружил, что битум - вид асфальта ожесточился с воздействием солнца. Ньепс положил асфальт эмульсии на оловянной пластинке в грубо построена камера-обскура и выпустил первые фотографии в мире - мнение за пределами своего дома - в 1827 году (некоторые историки утверждают, год 1826) Это была первая и последняя фотография, Ньепс, когда-либо сделанных .
1826 . gadā Niepse uzņem pirmo un fotogrāfiju 1826th Первый Njepss потребление и фотографии
Луи Жак Дагер Манда, (1787-1851),
. http://www.youtube.com/watch?v=gpUsZ8IRjFc&feature=related Дагерр использовал медную пластину вместо олова блюде. Тезисы технические изменения, в результате единственный в своем роде образ Чрезвычайный подробно и мелкозернистой. Он назвал первые практические фотографического процесса дагерротип. 7 января 1839 года французские астрономы Араго объявил изобретении Дагера престижной академии наук. В августе 1839 г. Дагер сам дал доказательство того, что делает процесс публикации.
Уильям Генри Фокс Талбот, (1800-1877)
Камеры сделаны Уильям Генри Фокс Тальбот
Различные фотографический процесс был объявлен в том же месяце, как дагерротип, названный как talbotype или calotype (греч. красивая картинка) Этот фотографический процесс был изобретен Уильям Генри Фокс Тальбот. Этот процесс лежит в основе современной фотографии. 1835 Производится один дюйм negativa бумаги квадрат окна своего дома. Затем он произвел положительное картину Размещение Другой лист светочувствительной бумаги на вершине негативного образа после воздействия солнца.Время экспозиции было три минуты при ярком солнечном свете. http://www.youtube.com/watch?v=oD30ajWuHUI
Фредерик Скотт Арчер (1813-1857)
http://www.youtube.com/watch?v=jVerzZWYZss&NR=1 В марте 1851 объявил Скотт Арчер, важным фотографического процесса. Он опубликовал свою формулу для всех, чтобы прочитать и использовать в популярном журнале день химика. Арчер был британский скульптор и неполный calotype фотографа. Он предложил Подходящие стекло как среды для фотоэмульсии. Это потребовало процесс стеклянной пластины подвергаются при влажной и разработки сразу. Портрет и документальных фотографов по всему миру используют мокрого коллодия в течение следующих тридцати лет. Большинство фотографов, принятых в ходе гражданской войны.
Ambrotips http://www.youtube.com/watch?v=ZFuzLZWTkYg&NR=1 Ferotips http://www.youtube.com/watch?v=zDmpwOqn1J8&NR=1
Ричард Лич Мэддокс (1816-1902)
Далее знаменитый изобретатель Ричард Мэддокс из Лондона. Он искал замену коллодий как фотографии эмульсии, потому что трудно было сделано стеклянной пластине и использовать его, когда он влажный. Мэддокс описал свою технику смешивания бромид кадмия и нитрат серебра в нагретый раствор желатина в 1871 изданием British Journal фотографии. Полученную смесь светочувствительной эмульсии бромистого серебра сухим способом пластины
Джордж Истмен (1854-1932)
Процесс Мэддокс сделал любительской фотографии возможно, когда Джордж Истман Рочестера в Нью-Йорке изобрели камеры с желатином сухой фильмов пластины в рулонах. В 1888 году Истман представил свой $ 25 Kodak камеры. Kodak просто было легко выраженными и легко запоминающееся имя на любом языке. Под девизом "Вы нажимаете на кнопку, мы делаем все остальное" камеру пришли загружены на 100 экспозиций. После получения всех снимков, клиент отправил камеру в Рочестере, где вокруг изображения были напечатаны, и камера была перезапущена с пленкой.
Адольф Евгений Disderi (1819-1890)
George Eastman 1854-1932
Uncut print from a carte-de-visite negative by André-Adolphe-Eugène Disdéri, c. 1860; in the George Eastman House Collection, Rochester, New York.
Из девяти основных достижений в области технологии истории фотографии, только четыре существенно изменились таким образом, что люди думают о среде: дагерротип представил миру новую среду, влажный - коллодий процесс показал, что фотография может быть высокого качества и воспроизводимый метод общения визуальные сообщения для большого числа людей, желатин - бромид сухой процесс плита - сделали фотографии легко для любителей и профессионалов, цифровая фотография сочетает в себе телевизор и компьютер обещает неограниченные возможности в области визуальных коммуникаций
Что делать со всеми своими Прохладный фотографии? Сохранение фотографий Обмен картинки Картинки в Интернете Печать фотографий
Программы управления фотографиями: профессионального программного обеспечения, как Adobe Photoshop, Lightroom, Aperture и бесплатные программы, как IrfanView, XnView, Picasa.
. Хранение на облаке Все старые методы хранения постепенно отходит от аппаратной жесткий диск модели. Будущее для хранения фотографий есть в Интернете, в последнее время называют термином облака. В настоящее время вы можете купить место на таких сайтах, как carbonite.com, sugarsync.com и mozy.com по разумным ценам, но платформа, на которой можно управлять фотографиями ограничен, и медленно. А стоимость интернет хранения чуть больше, чем Вы заплатили бы купить внешний жесткий диск.
Теории для индексации изображений
Sara Shatford (1986) - Generic Of -Specific Of -About Each group has four facets: time (When), space (Where), activities and events (What), and objects (Who).
http://zudusilatvija.lndb.lv/admin/objects/photoobject/3697/view/
Nacionālais muzeju krājuma kopkatalogs www.nmkk.lv
ADOBE PHOTOSHOP
XnView
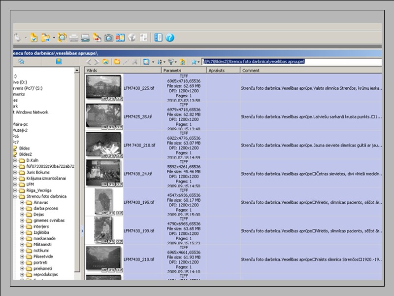
Photo of the Strencu Photo Studio
Marja Pirila INTERIOR/EXTERIOR (1996)
ссылки Икинс, Джон Грэм, Маргарет. Содержание - на основе поиска изображений [онлайн]: доклад КНСО программе техники. [Цитируется 12-02-2010].Институт по исследованию данных изображений, Университет Нортумбрии в Ньюкасле, январь 1999 года. Доступно: http://www.jisc.ac.uk/uploaded_documents/jtap-039.doc. Хайме Алехандро, Ши-Фу Чанг.Концептуальная основа для индексации визуальной информации на разных уровнях. ЭТО и T / SPIE Интернет изображений, [онлайн]. Том 3964, Сан-Хосе, Калифорния: изображение и Advanced TV лаборатории кафедры электротехники в Колумбийский университет, 2000 г. [Цит 18-02-2010]. Доступно: http://www.ctr.columbia.edu/ ~ ajaimes/Pubs/spie00_internet.pdf Лейн, Сара Shatford. Некоторые вопросы, в т. ч. индексация изображений [онлайн]. Журнал Американского общества по информатике. Лос-Анджелес: Калифорнийский университет, 1994. [Цитируется 24-02-2010]. Доступно: http://dewey.yonsei.ac.kr/multimedia/src/45-08-13.pdf Лестер, Пол Мартин. Визуальные коммуникации. Изображения с сообщениями. Thomson Wadsworth, (2005). 450lpp. ISBN 0534637205, 9780534637200 Марккула, Marjo и Sormunen, Ээро. End-User поиск Проблемы индексации практики в цифровой фотоархив газеты. Информационно-поисковая, 28.lpp., 2000, http://www.info.uta.fi/tutkimus/fire/archive/End_user.pdf
Thank you for attention! Спасибо за внимание!

